二枚貝殻の成長線
成長線とは?
タマキガイ(二枚貝).表面に同心円状の線が観察できる.
成長線とは,成長の休止期に見られる線のことです.木の年輪と同じような物です.
右の写真はタマキガイという二枚貝ですが,表面に細い同心円状の線が見えます.タマキガイの場合は,この線も成長線と呼んでいいのですが,いくつかの二枚貝ではこのような表面の線と本当の成長線とが対応しないことがありますので注意が必要です.
チョウセンハマグリの貝殻の断面写真
貝殻の断面を観察してみましょう.
右の写真はチョウセンハマグリ(二枚貝)の断面です.写真を拡大してみましょう.
これが拡大写真です.細かい線が見えますね?見えない場合は写真をクリックして拡大してみてください.この細かい線が成長線です.
この線は成長休止期にできると書きました.つまり,線と線の間は貝殻が一度に成長した部分ということです.
では,どのようなときに成長が窮しするのでしょうか.実は干潮や台風,温度,季節,生殖活動などいろいろな時に成長の休止がおき,成長線が形成されます.
なかでも成長休止の最大の原因は温度であるようです.
タマキガイの殻断面.成長線が観察できない.
このような成長線はどのような貝でも観察できるのでしょうか?
右の写真はタマキガイの殻断面ですが,実はタマキガイの場合は殻断面を観察しても成長線は観察できないのです.不思議ですね.これは実は貝殻の結晶構造の差によって見えにくくなっているのです.
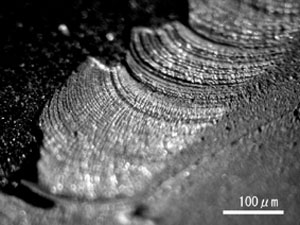
カガミガイの貝殻断面の電子顕微鏡写真
今度は貝殻の断面を電子顕微鏡で観察してみましょう.
大きな山の一つ一つが殻の表面装飾で,緩くカーブした線が成長線です.この成長線から成長線の間が二枚貝が成長していた期間です.
二枚貝が成長するのは,海水がないといけません.しかし,潮間帯(満潮から干潮までの間の浜)に生息している貝は,時として,海水がないときがあります.こんなときは貝はほとんど成長できません.
つまり,基本的には,この成長線ができている時期(成長休止期間)は,海水面は,この貝より下(沖)にあることが分ります.
しかし,干潮でも海が干上がらないところに生息している貝にも成長線があることから干出することだけが成長線の形成に関わっているとは言えません.
冬季の貝殻断面電子顕微鏡写真
上の画像と右の画像と比較してみてください.右の画像の成長線の方が短いように思えませんか?
この2つの写真は両方とも同じ個体です.
どうも,時期によって成長速度が違うようです.
この成長線の一つおきの幅(基本的には2つの成長線で1日と考えられる)を測定してみます.
これが,殻の一部分の成長線と成長線との幅を測定したものです.如実に変化していることが分るでしょう.
そして,x軸のカウント数を見てください.約350.一年の日数とほぼ同じです.
これは,ほぼ一年の貝の殻の生長量を表しています.そして,貝殻に含まれる酸素同位体などを測定すると当時の温度が推定でき,一番成長しているところは,温度が高い時期(つまり夏!)であることが分ります.
この個体は,夏に著しく成長していることが分ります.
この様な成長線解析の研究分野のことを,英語で,Sclerochronologyと呼んでいます.そして,1970年後半くらいから始まった研究ですが,最近の同位体や電子顕微鏡の発展に伴って,非常に精度が良く,細かく分析できるようになってきました.
このような成長線の解析を世界各地で化石も含めて行うと,これまでの地球上における環境などが明らかになるでしょう.


